В Лисьем носу может появиться надземный переход через Приморское шоссе и железную дорогу
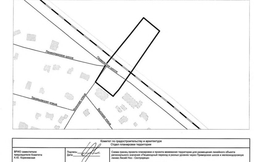
В Лисьем носу – в створе Военной улицы – запланирован надземный пешеходный переход через Приморское шоссе и железнодорожную линию. Для него готовится проект планировки территории (ППТ).
Комитет по градостроительству и архитектуре Петербурга распорядился подготовить проект планировки территории для строительства надземного пешеходного перехода в створе Военной улицы. Переход должен пересекать Приморское шоссе и железнодорожную линию Лисий нос — Сестрорецк. Таким образом, предполагается обеспечить связь перспективной застройки с поселком.
Заявителем выступает девелопер, который реализует проект жилой застройки в районе Авиационной улицы (ЖК «Лисино»). Срок подготовки ППТ — до декабря 2026 года.
По оценкам экспертов, переход может оказаться довольно длинным. К тому же, по Генплану железнодорожная линия Лисий нос — Сестрорецк должна быть реконструирована и, вероятно, расширена, поскольку может стать частью одного из диаметров для городских электричек (позволит доехать по "железке" от Белоострова до аэропорта «Пулково»). Впрочем, идея с "диаметрами" пока не имеет какой-либо конкретики по срокам реалиазации.
