В районе Каменки может появиться новый жилой квартал с домами высотой до 130 метров
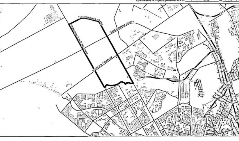
Комитет по градостроительству и архитектуре Петербурга распорядился подготовить проект планировки территории для нового квартала между Парашютной улицей, рекой Каменка и Комендантским проспектом.

В Приморском районе Петербурга должны подготовить проект планировки территории — для нового квартала в конце Комендантского проспекта, между Парашютной улицей и рекой Каменкой.
В рамках жилой застройки должны появиться многоэтажные жилые дома, две школы (каждая на 825 мест и более), а также две поликлиники — 600 посещений в смену для взрослых и 420 посещений для детей. Есть также два объекта спорта, паркинги, торговые объекты и т.п.
Из коммунальной инфраструктуры запланированы электроподстанция, котельная, очистные для дождевой канализации. Любопытная деталь: зарезервировано место под стоянку для уборочной техники. Такие площадки в новых кварталах внедряет Смольный, чтобы у коммунальщиков была возможность с удобством хранить свои машины и оборудование.
Значительная часть оговоренной территории пойдет под строительство депо «Коломяжское» и станций метро с рабочими названиями «Коломяжское» и «Магистраль N 1» (NSP подробно рассказывала про проект планировки для них).
Одна из особенностей квартала между Парашютной улицей, рекой Каменка и Комендантским проспектом: по новым Правилам землепользования и застройки тут допускается максимальная высота доминант — до 130 метров.

