В южной части Петербурга планируют построить подземный тоннель для транспорта
В Петербурге подготовят проект планировки территории для размещения подземного тоннеля на юге города в границах Кировского и Московского районов.

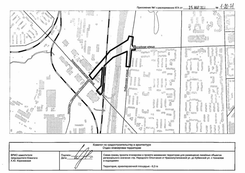
В Петербурге появится подземный тоннель, который пройдет под ЗСД и железнодорожными путями, соединив проспект Народного Ополчения и Бассейную улицу. Комитет по градостроительству и архитектуре Петербурга распорядился подготовить для его размещения проект планировки и межевания территории в срок до начала февраля 2027 года.
На дорожном объекте будет организовано движение от четырех до шести полос. Инициатором подготовки проекта выступает СПбГКУ «Дирекция транспортного строительства». Работы будут финансированы из городской казны.
Сейчас готовится проект планировки территории еще для одного тоннеля как части масштабного транспортного узла в северной части города – в Лахте. Речь о развязке через железнодорожные пути Сестрорецкого направления, тоннеле в створе будущей улицы, обустройстве трамвайной линии до Юнтоловского проспекта и ст. метро «Лахта».